Navigating Mother Nature’s Challenges: Ensuring Safety in Offshore Drilling Operations
Keim Davis, HSE Specialist
Mark Twain once remarked, “I heard a great deal of complaint about the weather, but no one seemed to do anything about it.” However, in the realm of offshore drilling, proactive measures are essential to mitigate the impacts of unpredictable weather.
ANTICIPATING THE INEVITABLE: WEATHER PREPAREDNESS
Drilling rigs are exposed to the elements, and the unique environment of an offshore drilling rig in the Gulf of Mexico has its own unique potential issues. The inevitability of adverse weather underscores the necessity for meticulous preparation. It’s not a matter of “if” but rather “when” such challenges will arise.
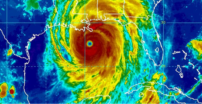
Hurricanes loom as one of the most dangerous threats to an offshore rig. As hurricane season approaches, meticulous planning commences well in advance under the banner of Actively C.A.R.E. Rigorous preparation and frequent review of procedures ensures swift responses when hurricanes threaten operations.
VIGILANCE IN FORECASTING: MONITORING AND ACTION
A network of workgroups diligently monitors weather patterns year-round, comprised of contractors, operators, and third-party service providers. The first trigger for action begins when a tropical weather system may be over 1000 miles away. Once a weather system is identified, and it is projected to enter the Gulf of Mexico, rig leadership initiates action plans and procedures. Rig leadership follows protocols, ensuring the proper equipment is available to secure the well, removing nonessential personnel and equipment off location, and developing a full evacuation plan if needed. If the system is identified as a threat to the rig, the hurricane evacuation procedure is initiated. Once the threat ends, the teams continue to work their plans which include preparations to transport crews back to the rigs in order to assess the damage and perform any necessary repairs or remediation.
BEYOND HURRICANES:MITIGATING DIVERSE WEATHER RISKS
While hurricanes command significant attention, other oceanic weather phenomena create additional challenges. From lightning strikes to unusual sea states and water spouts, each demands a tailored response. Thunderstorms are electronically monitored on the platform for lightning strikes, because offshore drilling rig masts and crane booms are normally the tallest structure for many miles. Once a threatening system is within three miles of the rig, crane operations are suspended, and rig crews are prepared to stage in safe zones. Wind speed indicators are used by crane operators to monitor wind speed so that they can suspend operations any time the wind speed reaches 35 mph or greater.
UPHOLDING SAFETY STANDARDS:PRIORITIZING WEATHER SAFETY
Amidst the dynamic environment of offshore drilling, safeguarding the well-being of personnel and equipment is paramount. Robust weather monitoring systems, coupled with rigorous maintenance practices and comprehensive training, fortify the operational framework. By prioritizing weather safety as we demonstrate our commitment to Actively C.A.R.E. for ourselves and others, we ensure that offshore drilling programs can operate with efficiency and safety, no matter what Mother Nature brings its way.
GET EXCLUSIVE SAFETY RESOURCES
Our aim is to extend our commitment to safety beyond just our organization, empowering others to prioritize and enhance their safety practices too. We welcome you to join us on this journey. By following our updates, you’ll gain exclusive access to:
- Downloadable HSE Content
- Videos & Resources
- Free Rig Training Materials
- Safety Improvement Case Studies
- Monthly HSE Topics You Can Use For Free
